Community Development
Schilling Building | Boss Saloon
238 NE 3rd Street | Built Prior to 1884
Eric Amerson is requesting approval to partition an approximately 4.8 acre parcel of land into two (2) parcels approximately 1.2 and 3.6 acres in size.
Below is a list of resources related to conflict resolution, donation of household items, police and fire, non-emergency and more. This list does not include all services provided throughout the City of McMinnville.
The following are projects and land use applications that have been reviewed by either the Planning Director, Planning Commission, and/or City Council.
140 NW Park Drive | Est. 1908
In October 1906, McMinnville residents began raising money for a new city park. By 1907 enough park bonds were sold to purchase 8.5 acres of land that Contractor and Landscaper J.A. Gilbertson designed in 1908.
On Tuesday, December 8, 2020, after three nights of public testimony (December 1, December 2 and December 3, 2020), the McMinnville City Council approved Ordinance No.
Lori Zumwalt, on behalf of Premier Development, LLC, is requesting approval of two (2) separate Planned Development Amendments and subsequent approval of a residential tentative subdivision plan.
Bassett Homes, LLC is requesting approval to subdivide an approximately 0.28 acre parcel of land into four (4) single-family attached parcels
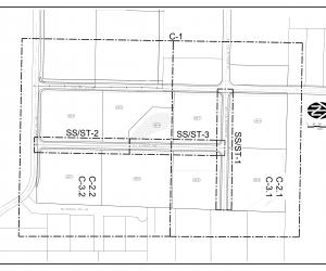
Rivergate Center LP, c/o Jeanmarie Kapp, property owner, is requesting approval to subdivide property of approximately 28-acres into nine (9) lots, with eight (8) lots intended for uses permitted in the M-2 general







